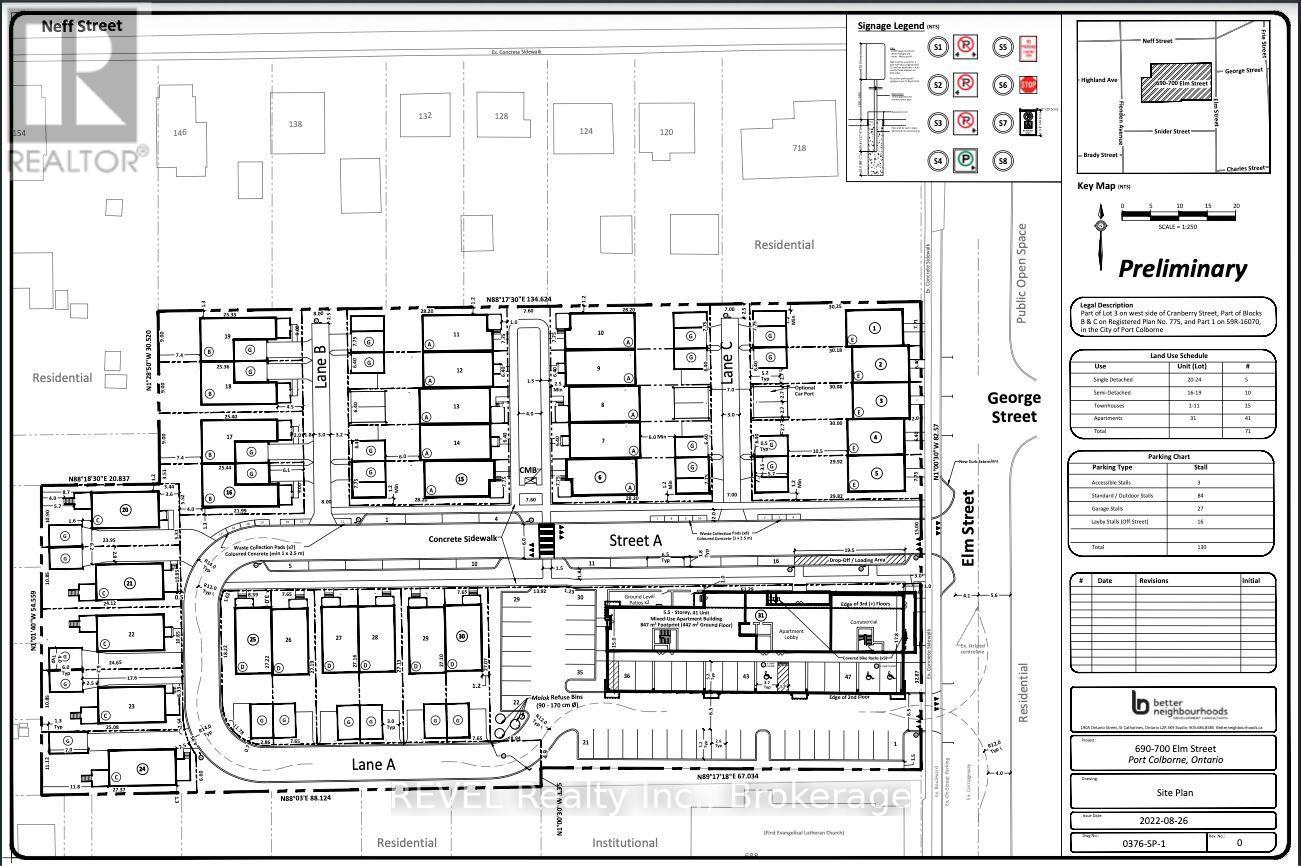
690-700 Elm Street Port Colborne, Ontario L3K 4R1

Acreage

$2,999,900

Rare opportunity to acquire a prime development land opportunity in the growing waterfront community of Port Colborne. 690-700 Elm Street presents exciting future potential for builders, developers, and investors looking for their next Niagara project. The municipality has previously supported the proposed site plan, with updates required to reflect current cost estimates and municipal requirements. A municipal site plan agreement is in place outlining servicing, parking, access, and design requirements, offering meaningful direction for those exploring the property's potential. Positioned close to amenities, waterfront access, and key routes, this is the kind of opportunity that is becoming increasingly difficult to find. (id:63616)

Property Details

MLS® Number X13035664
Property Type Vacant Land
Community Name 877 - Main Street

Building

Land

Acreage Yes
Size Frontage 271 Ft
Size Irregular 271 Ft
Size Total Text 271 Ft|2 - 4.99 Acres

Utilities

Cable Available
Electricity Available
Sewer Available

https://www.realtor.ca/real-estate/29646997/690-700-elm-street-port-colborne-main-street-877-main-street

Contact Us

Contact us for more information

Generating Captcha

Your Favourites

 

No Favourites Found